Multibeam sonar on the market that no other product can think WASSP, can only give the user a very competitive give WASSP multibeam technology - and is based on single-beam price.
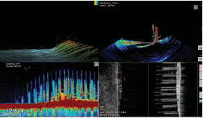
WASSP multibeam sonar in accuracy has a huge advantage, so the broad sweep of 120 degrees coverage and real-time high-resolution three-dimensional measurements of water and seabed mapping capability.
WASSP have the technology and equipment integration capabilities to meet various application users, whether you are a hydrographic experts, underwater obstacle detection, or harbor security patrols.
WASSP multibeam sonar is not complex, highly integrated system, with only three modules: ban transducer (built-in transmitter and receiver arrays), a transceiver called BTxR, and a dedicated processor WASSP .
WASSP given:
Meet IHO 1a level standards
Compatible QINSY and HYPACK
Russia banned the transducer is ideal for fixed installation ship and pure ground plane mounted
High-density 224 beams
Low cost of 112 beams @ 116KHZ or 80KHZ
Span ratio 3:1,100 meters water depth of 340 meters wide
Continuous 2D and 3D mapping
To add new features and functionality through software upgrades












